|
2025/11/25
|
|
オオモンラッシュ! |
|
|
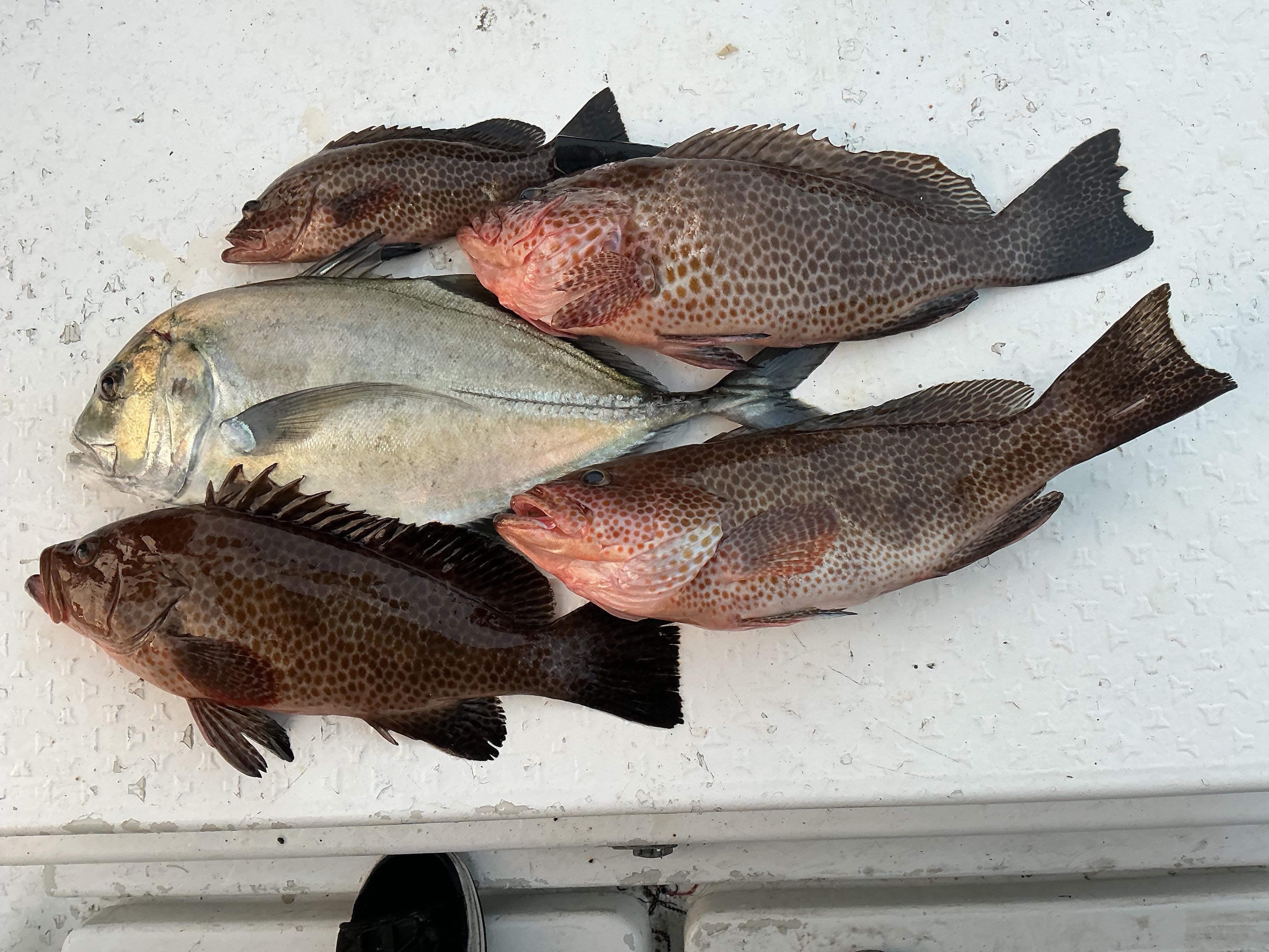
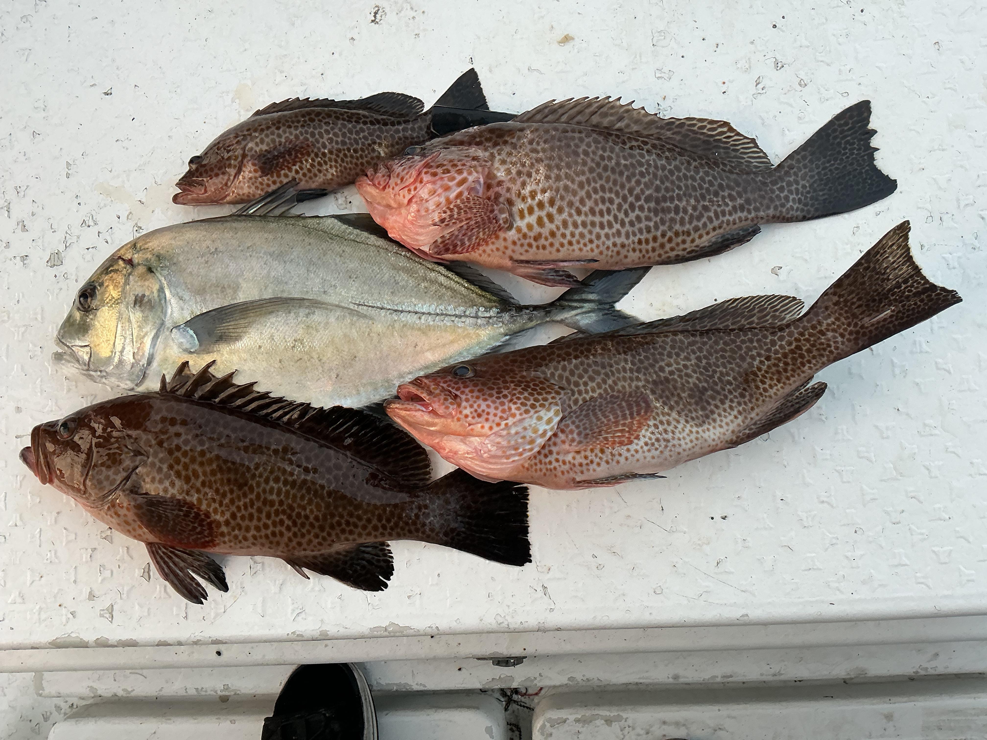
昨日も午前中は北西からの風波があり沖に出れませんでした。近場勝負で、オオモンハタが次々にヒット。ポイントが限られれているようで、釣れだすと連発という感じでした。小学生の女の子アングラーさんも初乗船でしたが,お父さんと同じくらい釣っていました。重量勝負では50センチを混えたお父さんの貫禄勝ちというところでしょうか。午後は、風が収まり、フルのアングラーさんと沖へ。ところが,潮が動かず苦戦。風も潮もなく、ジグもタイラバも真下にドスン。当たりはありますが,なかなか竿に乗らない状況でした。しかしながら,終わってしまえば、50センチオーバーのGT(ロウニンアジ)や45センチほどのオオモンハタを3枚揃えて写真の釣果となりました。上の2枚が,午前ハーフ,下がフルのアングラーさんの釣果です。 ![]() ![]() ![]() |
|
| |





